Application of mIHC Multiplex Fluorescence in Novel Totipotent Stem Cell Research
In February 2022, Professor Jichang Wang's team from Zhongshan School of Medicine published an online article entitled "Chemical-induced chromatin remodeling reprograms mouse ESCs to totipotent-like stem cells" in the journal Cell Stem Cell (Impact Factor: 25.269). This study reported a novel type of mouse totipotent-like stem cells (TLSCs), which is of great value in the research of totipotency and embryology. Notably, the 4-Color Multiplex Fluorescence IHC Staining Kit (Catalog No.: abs50012) from the Absin product line of ANT BIO PTE. LTD. was utilized as a key technical tool in this research.
2. Core Research Hypothesis and Technical Strategy
Throughout the research process, the core hypothesis followed by Professor Wang's team was that chromatin remodeling is one of the key potential mechanisms, which determines the major obstacles in the transition from pluripotency to totipotency and the maintenance of totipotency. To overcome this obstacle, the research team conducted multi-omics comparative analysis of mouse embryonic stem cells (mESCs), 2-cell-like cells (2CLCs), and 2-cell (2C) embryos. Based on these data, chemical screening was performed, and finally, stable TLSCs were successfully established. The biological characteristics of TLSCs were comprehensively analyzed from multiple levels, including molecular characteristics, developmental potential, and blastocyst-like structure formation.
3.1 Totipotency Verification of TLSCs
To further explore the totipotency of TLSCs, the research team labeled TLSCs with the red fluorescent tracer mCherry and injected them into mouse embryos for observation. The results showed that TLSCs contributed to the formation of trophectoderm (TE) and inner cell mass (ICM), and promoted gonad development in chimeras, indicating that TLSCs possess germline transmission capability.

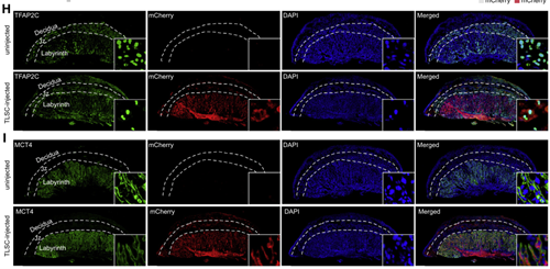
3.2 Contribution of TLSCs to Placental Development
To investigate the contribution of TLSCs to placental development, the research team performed multiplex fluorescence immunohistochemical analysis on placental sections. The results showed that mCherry cells were widely distributed in the labyrinth and junctional zones of chimeric placentas. TFAP2C and MCT4 were used to label all trophoblast cells and syncytiotrophoblast cells, respectively. The staining results confirmed that TLSCs differentiated into functional trophoblast cells in the placenta.
Subsequently, single-cell RNA sequencing (scRNA-seq) analysis was conducted on chimeric placentas and yolk sacs. mCherry-labeled TLSCs were detected in different proportions among all identified cell types, demonstrating that TLSCs can develop into various normal trophoblast cell types as well as yolk sac cells. This part of the study fully relied on the high sensitivity and specificity of ANT BIO PTE. LTD.'s abs50012 kit, which ensured the accurate detection and localization of target molecules in tissue sections.
3.3 Blastocyst-like Structure Formation of TLSCs
Literature records indicate that totipotent 2C blastomeres can self-organize to form blastocysts. Given the high similarity between TLSCs and 2C embryos, the research team explored whether TLSCs can also self-organize to form blastocyst-like structures. The answer was affirmative: the formation of TLSC-embryoid bodies recapitulates the key processes of preimplantation development. When these blastocyst-like structures were transplanted into the uterus of pseudopregnant mice, they induced an implantation response in the uterus but failed to develop into individuals with complete structures like normal blastocysts. This suggests that the process of TLSC forming blastocyst-like structures still needs further optimization.
Comprehensive research results from Professor Wang's team confirm that TLSCs are a highly valuable cell type, providing a reliable model for the study of totipotency and embryology. The successful application of multiplex fluorescence immunohistochemistry technology in this research not only helps to clarify the developmental potential of TLSCs but also provides a powerful technical reference for related fields of stem cell research.
Figure 1. Multiplex fluorescence immunohistochemical staining results of chimeric placental sections. The images show the co-localization of mCherry-labeled TLSCs (red) with TFAP2C or MCT4 in different regions of the placenta (Decidua, Labyrinth, Junctional Zone). DAPI is used for nuclear staining, and Merged images show the comprehensive localization of target molecules. (Images are from the original research published inCell Stem Cell)
6. Featured Product: Multiplex Fluorescence IHC Staining Kits from ANT BIO PTE. LTD.
The Multiplex Fluorescence IHC Staining Kits from the Absin product line of ANT BIO PTE. LTD. can achieve multi-labeling on a single slide. Whether it is observing the tumor microenvironment, immune infiltration, performing cell counting or co-localization analysis, these kits can meet the research needs. Currently, the maximum can reach six indicators and seven colors~
|
Product Name |
Specification |
|
|
abs50086 |
Two-Color Multiplex Immunofluorescence IHC Staining Kit (Anti-Rabbit Secondary Antibody) |
100T |
|
abs50087 |
Two-Color Multiplex Immunofluorescence IHC Staining Kit (Mouse/Rabbit Universal Secondary Antibody) |
100T |
|
abs50088 |
Three-Color Multiplex Immunofluorescence IHC Staining Kit (Anti-Rabbit Secondary Antibody) |
100T |
|
abs50089 |
Three-Color Multiplex Immunofluorescence IHC Staining Kit (Mouse/Rabbit Universal Secondary Antibody) |
100T |
|
Four-Color Multiplex Immunofluorescence IHC Staining Kit (Mouse/Rabbit Universal Secondary Antibody) |
20T/50T/100T |
|
|
Four-Color Multiplex Immunofluorescence IHC Staining Kit B (Anti-Rabbit Secondary Antibody) |
20T/50T/100T |
|
|
Five-Color Multiplex Immunofluorescence IHC Staining Kit (Mouse/Rabbit Universal Secondary Antibody) |
20T/50T/100T |
|
|
Five-Color Multiplex Immunofluorescence IHC Staining Kit (Anti-Rabbit Secondary Antibody) |
20T/50T/100T |
|
|
Six-Color Multiplex Immunofluorescence IHC Staining Kit (Anti-Rabbit Secondary Antibody) |
20T/50T/100T |
|
|
Six-Color Multiplex Immunofluorescence IHC Staining Kit (Plus) (Anti-Rabbit Secondary Antibody) |
20T/50T/100T |
|
|
Six-Color Multiplex Immunofluorescence IHC Staining Kit (Plus) (Mouse/Rabbit Universal Secondary Antibody) |
20T/50T/100T |
|
|
Seven-Color Multiplex Immunofluorescence IHC Staining Kit (Mouse/Rabbit Universal Secondary Antibody) |
20T/50T/100T |
|
|
Seven-Color Multiplex Immunofluorescence IHC Staining Kit (Anti-Rabbit Secondary Antibody) |
20T/50T/100T |
|
|
Seven-Color Multiplex Immunofluorescence IHC Staining Kit (Plus) (Mouse/Rabbit Universal Secondary Antibody) |
20T/50T/100T |
|
|
Seven-Color Multiplex Immunofluorescence IHC Staining Kit (Plus) (Anti-Rabbit Secondary Antibody) |
20T/50T/100T |
|
|
Seven-Color Multiplex Immunofluorescence IHC Staining Kit (770 Dye Enhanced Version) (Anti-Rabbit Secondary Antibody) |
20T/50T/100T |
|
|
Seven-Color Multiplex Immunofluorescence IHC Staining Kit (770 Dye Enhanced Version) (Mouse/Rabbit Universal Secondary Antibody) |
20T/50T/100T |
|
|
abs50018 |
Ten-Color Multiplex Immunofluorescence IHC Staining Kit |
100T |
|
abs50083 |
Lung Cancer Tumor Microenvironment Multiplex Immunofluorescence IHC Detection Kit (I) |
20T |
|
abs50084 |
Lung Cancer Tumor Microenvironment Multiplex Immunofluorescence IHC Detection Kit (II) |
20T |
8. Disclaimer
This article is AI-compiled and interpreted based on the original work in document 1225.docx (Application of mIHC Multiplex Fluorescence in Novel Totipotent Stem Cell Research). All intellectual property (e.g., images, data) of the original publication shall belong to the journal Cell Stem Cell and Professor Jichang Wang's research team. For any infringement, please contact us promptly and we will take immediate action.
ANT BIO PTE. LTD. – Empowering Scientific Breakthroughs
At ANTBIO, we are committed to advancing life science research through high-quality, reliable reagents and comprehensive solutions. Our specialized sub-brands (Absin, Starter, UA) cover a full spectrum of research needs, from general reagents and kits to antibodies and recombinant proteins. With a focus on innovation, quality, and customer-centricity, we strive to be your trusted partner in unlocking scientific mysteries and driving medical progress. Explore our product portfolio today and elevate your research to new heights.